El Congreso del Estado aprobó las reformas al Código Penal del Estado para tipificar...
Mes: octubre 2025
Repartidor cae a una tumba en pleno funeral y el video se vuelve viral: “Servicio hasta el más allá”
Un momento solemne terminó convirtiéndose en una escena inesperada dentro de un cementerio, luego...
El proceso legal en Estados Unidos de Abigael González Valencia, apodado como “El Cuini” e identificado como...
Omar García Harfuch, secretario de Seguridad y Protección Ciudadana (SSPC), detalló que un operativo de...
La Secretaría de la Defensa Nacional (Sedena), a través de las Comandancias de la...
Más de 30 niños desaparecidos fueron localizados en Texas durante una operación conjunta contra la trata de personas realizada entre...
La Secretaría de Agricultura y Desarrollo Rural afirmó que los casos activos de gusano barrenador en...
La Coordinación Nacional de Protección Civil (CNPC) informó que hay 64 muertos por las lluvias de los últimos días en...
Con el objetivo de fortalecer el emprendimiento entre las mujeres y los jóvenes, promover...
A nombre del Grupo Parlamentario del Partido Revolucionario Institucional, el diputado Noel Fernández Maturino,...
“La presencia de psicólogos en el sistema educativo no es un lujo ni una...
La Comisión de Asuntos Mineros y Zonas Áridas del Congreso del Estado sostuvo una...
La desaparición de Carlos Emilio, un joven originario de Durango cuyo último contacto se reportó el 5...
El SMN reportó que a las 09:00 horas, la tormenta tropical ‘Raymond’ se encontraba...
El Instituto para la Protección al Ahorro Bancario (IPAB) detalló este viernes 10 de octubre de 2025 revocó...
La Secretaría de Agricultura y Desarrollo Rural (Agricultura) informó este jueves de la detección de un...
En un ejercicio de apertura y colaboración, el presidente de la Junta de Gobierno...
Para el Presidente Municipal Toño Ochoa, la prevención y en este caso, la limpieza,...
La flor de cempasúchil, icónica del Día de Muertos en México, no solo adorna ofrendas...
Cinco personas fueron encontradas sin vida sobre la carretera Santa María de Picachos, en el...
Las comunidades serranas de Badiraguato, Sinaloa, han perdido en las últimas semanas a decenas de...
“Para que la ganadería siga siendo competitiva y las familias del campo puedan salir...
La Comisión de Puntos Constitucionales del Congreso del Estado aprobó tres dictámenes de reformas,...
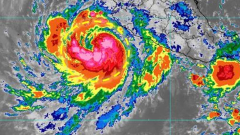
El Servicio Meteorológico Nacional (SMN) apuntó que para este lunes 6 de octubre de 2025 que el huracán “Priscilla” se...
Ha pasado más de un año de la captura de Ismael El Mayo Zambada García, uno de...
El diputado Noel Fernández Maturino pidió al gobierno federal garantizar el acopio y establecer...
Las y los diputados Georgina Solorio García, Gabriela Vázquez Chacón, Noel Fernández Maturino, Flora...
Al concluir las comparecencias de los organismos autónomos, el presidente del Consejo General del...
A nombre del Grupo Parlamentario del Partido Acción Nacional, la diputada Verónica González Olguín,...
Con el propósito de fortalecer la protección de la dignidad humana y los derechos...
El Secretario de Seguridad y Protección Ciudadana (SSPC), Omar García Harfuch, dio a conocer la detención...
De acuerdo con información dada a conocer por la Fiscalía General del estado de...
